
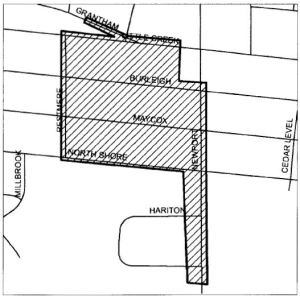
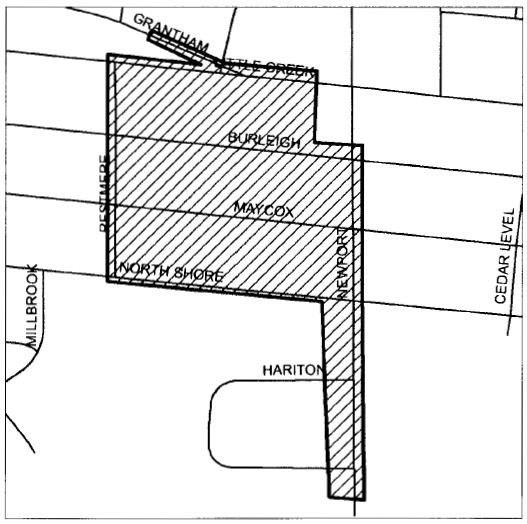
Second phase of the Wards Corner sanitary sewer infrastructure improvements to being in January 2012
The City of Norfolk Department of Utilities has hired Gaston Brothers Utilities to begin the second phase of a $4.4 million project to replace aging sewer ppies and provide fully resurfaced streets in the area shown on the map to the right.
In January 2012 construction will begin on Newport Avenue and last through summer; work on the remaining residential streets will follow and is expected to be finished by Summer 2013.
If you have questions you can contact the on-site construction inspector, Gary Kimber, at 464-1659 or the project Manager, Rick Dempsey, at 664-6719.
A flyer regarding the project can be viewed here (PDF).
Filed under: Uncategorized |
